世界農業遺産の地 宮崎県高千穂町

甦草(日本山人参)とは?

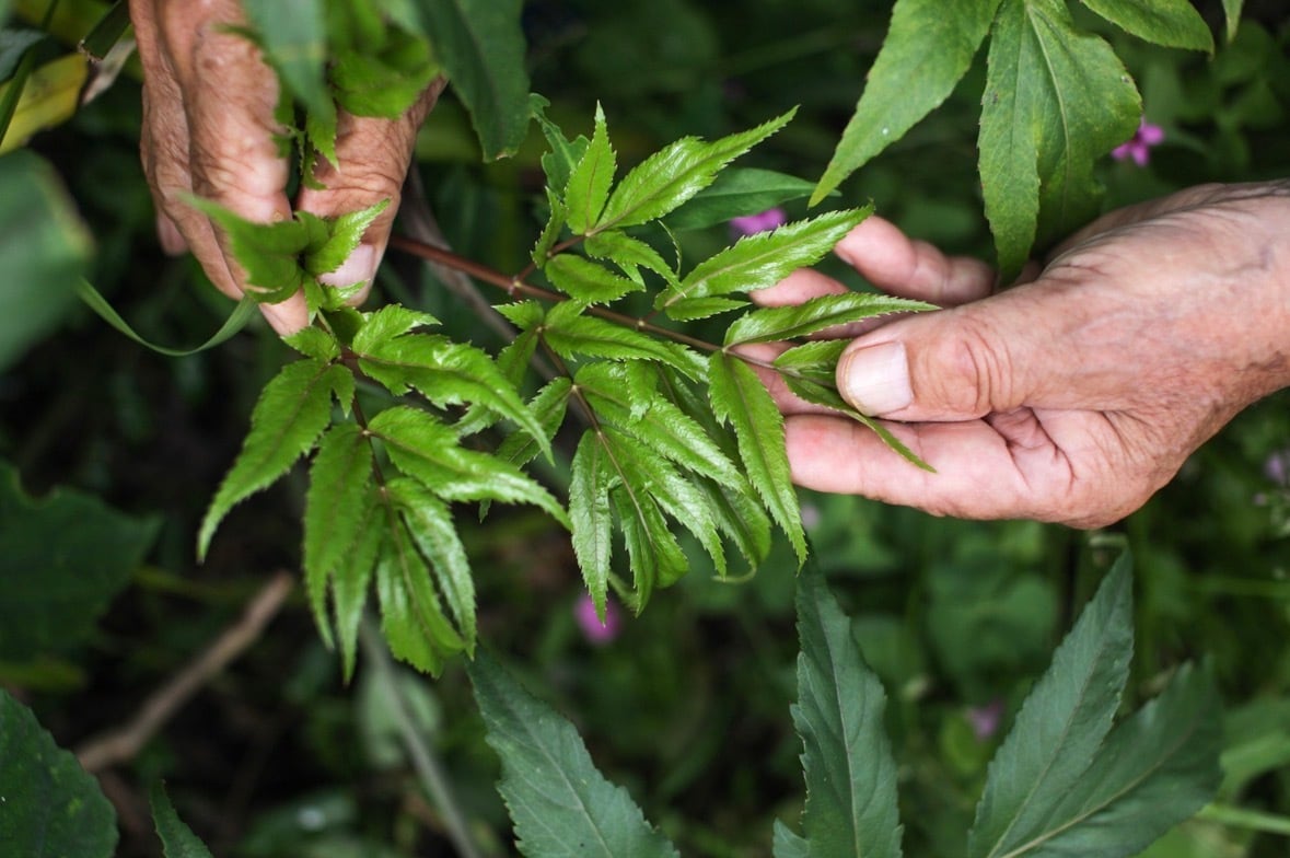
甦草=(日本山人参・別名:ヒュウガトウキ)


大分県南部・宮崎県高千穂北部の山間部の、限られた地域だけに自生するセリ科の植物です。

非常に希少性が高く、野生のヒュウガトウキは絶滅危惧種に指定されています。


この薬草は、江戸時代から「死者をも蘇らせる」と言い伝えられ、旧薩摩藩の住民たちの間では高価な民間薬として使用されていました。


「神の草」と呼ばれ、長い歴史の中で受け継がれてきた力が、いまを生きる私たちにも優しく寄り添い、忙しい現代人の暮らしをそっとサポートしてくれます。


私たちは、天照大神ゆかりの地・高千穂から生まれたこの薬草を通じて、心と体、両面から現代人の健康を支えていきたいと願っています。


この製品は、栽培から製造まで一貫体制でつくられており、100%高千穂産・農薬不使用の純粋な日向当帰を使用しています。

混ざりっ気なし、自然のままの力をお届けします。

注目成分 YN-1 のちから

日本山人参に含まれる「YN-1」には
以下のようなはたらきがあります。


・体内の血流を良くし、必要な栄養素を
 すみずみまでしっかり届ける


・老廃物や毒素、過剰な栄養素の
 排出を促進(デトックス)


・糖質や塩分、アンモニア、
 筋肉疲労物質などの有害物質の排出を助ける


・身体全体、そして肌の調子も整える
 はたらきが期待されます

こんなお悩みのある方におすすめです!

◎ 眠れない・睡眠障害

◎ 飲みすぎ(二日酔い)

◎ なんとなく不調が続いている

◎ 日常の慢性的な疲れ

◎ PMS(月経前症候群)

◎ 性欲の低下

高千穂より真心込めて、日本山人参が疲れた身体をサポートします。